注意: この記事は最終更新から3年以上経過しています。情報が古い可能性があります。
行ったこと無いところで、暖かい所へ行きたい。できれば島がいい。という母のリクエストで、沖縄本島の先にある八重山に行って来ました。沖縄も一応冬なので、海水浴を楽しめる時期でもない為、観光パック、朝晩の食事付きの格安ツアーがあったのです。
所要で東京に出ていたので、当日羽田で母と待ち合わせてそのまま出発。
天気もほぼ快晴で暖かい日。飛行も安定してシートベルトも解除された上空で、近くに居たスチュワーデスさんが、「富士山がものすごく綺麗に見えてますよ〜」と言ったので、飛行機が傾くんじゃないかと思われるほど片側の窓に乗客殺到(笑)

うっわ〜〜〜!ここまで綺麗に見えたのは本当に初めて!!


南アルプスの連山もこの通りで、出発からテンションあがります。
途中沖縄の那覇空港で、待ち時間もほぼなく急いで小型の飛行機に乗り換えて、約4時間20分で石垣空港に到着。
夕方に到着して、そのままバスで「石垣島鍾乳洞」へ観光。この入口を見ると江ノ島を思い出すなあ(笑)

全長は3.2kmあるようで、公開されてるのはそのうち660mほど。鍾乳洞だけど涼しくはありません!
気温は23度ぐらいらしいのですが、湿度が90%以上あるということで、蒸し蒸しした暑さ。


このあたりは元々海中であったので、鍾乳石の成分にさんごも含まれているとかでキラキラしていてちょっと異なる。


形状もかなり変化に飛んでいるので、なかなかおもしろいです。

照明も工夫されていて、場所によって違う雰囲気を醸し出している。


鍾乳石の成長も日本一早いとか。まあ早いといっても3年で1mm程度なので数年では違いはわからないでしょうが。。


トトロと呼ばれるかわいい形のものも♪

見学の後は、隣接の食堂で夕飯。本日は「石垣郷土御膳」というものでした。

その後ホテルにチェックインして就寝。翌日は石垣島内観光です。
まずは街中から近い「唐人墓」
1852年に、低賃金で過酷な労働を強いられる「苦力」という中国人労働者たちが、カリフォルニアに送られる際に船上で反乱を起こした後に石垣島沖で座礁したそうで、石垣島の人々はこれらの人々を助けました。
結局その後に米軍、英軍が追ってきて多くの唐人が命を落としました。後にあちこちに散らばっていた墓を合祀慰霊するために建てられたのがここというわけです。
とても鮮やかな装飾ですが、下の石碑には名前がわかった人々の名が刻まれており、悲しい歴史の痕を残しています。


その後、海のようなブルーが美しい「石垣焼窯元」に寄ったのですが、なかなか高価で目の保養にはなるものの手はだせず、裏庭で「猛犬注意」と書かれた犬たちと戯れてました。めっちゃ人懐っこく擦り寄ってきたかわいいやつです(笑)


この後、石垣島の西に突き出た半島にある「御神崎」へ。



青とエメラルドグリーンが混ざり合う海が美しい。この時期本来は雨が多いそうですが、見事に広がる青空。

川平湾近くで昼食となり、「八重山ソバ」を食す。ソーキソバともちょっと違うようで、やや細くて丸みをおびた麺であっさりしてます。

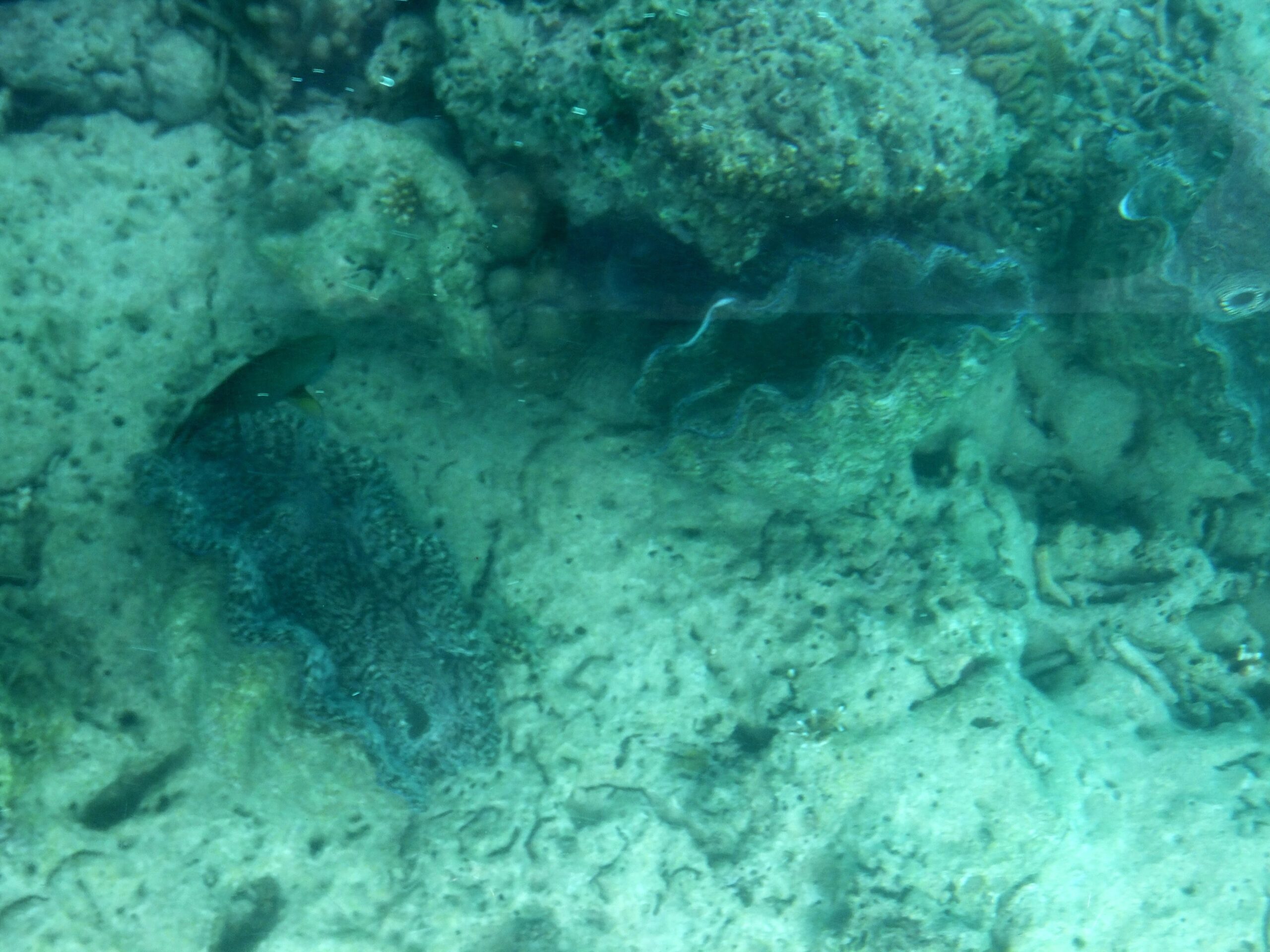
食後は川平湾でグラスボート観光へ。

グラスボートというのは、船の真ん中が水中につきだしたガラス張りになっており、海中の様子を覗き込める船です。
湾内は結構浅瀬なので、珊瑚や白い砂地もはっきり見えます。


いろんな種類の珊瑚があって、先端が青く光ってるタイプが綺麗だった。
魚影も豊富で大小様々な魚たちが泳いでます。

くあ〜〜潜りたい!潜りたい! ダイビングじゃなくてもシュノーケリングでも結構楽しめそうだ!!
透明度も高くて、この色は日本じゃないみたいですよねぇ〜。



この後海沿いに歩いて「琉球真珠」の本店へ。黒蝶真珠が微妙な色合いがあって美しいのだけど、やはり気軽に手が出るお値段ではない(笑)
バスで移動して「米原ヤエヤマヤシ群生」ポイントへ。ヤエヤマヤシは石垣島と西表島にだけ自生するヤシで、天然記念物に指定されています。
背がひょろ〜と高くて、実はものすごくちっちゃい。根本は腰蓑のごとくわさわさしています。

森林浴で目一杯深呼吸。昔は人間が傘のかわりに差して歩いたというでっかいクワズイモの葉もあったり。

登り口付近には、サトウキビを煮詰めて黒糖を作っているお店があって、このトウキビ蜜とフレッシュフルーツのミックスジュースも販売してます。

さっぱりしていそうなシークワーサーとのミックスジュースをいただきました。がじがじできるサトウキビ本体付き。

とにかく時間に余裕がない忙しいツアー日程だったので、ガジガジしながらバスに乗り込み「玉取崎展望台」へ移動。
なんか気温が異様にあがって25度くらいと夏のような日だったので、やや霞んでますが、右手は太平洋、左手は東シナ海と半島を挟んで違う海流が流れてるんですよ!!


バンナ岳を通ってこの日は帰着。夕飯は一度ホテルに戻って休憩した後にバスでおみやげ屋兼レストランへ移動し、やいま牛とアグー豚のしゃぶしゃぶをいただく。お肉はやわらかくておいしかった〜。

[peg-image src=”https://lh3.googleusercontent.com/-kkzHOcQz9ao/V9qC5whP2RI/AAAAAAAAoro/pHVPdGheQpQGrKYmhrxJASyISEEaCyY2gCCo/s144-o/IMG_1820.JPG” href=”https://picasaweb.google.com/109425650485415836391/6330504680547518561#6330516155011160338″ caption=”2012 石垣島” type=”image” alt=”IMG_1820.JPG” image_size=”2592×1936″ ]
翌日は石垣島を出て、離島巡りです。





コメント
常夏の島、石垣島ですか、うらやましいなぁ。
きれいな富士山ですね。やはり冬の富士は美しい。
きっとこれは、飛行機の窓を開けて撮影でしょう。みごと。。
しゃぶしゃぶ・・おいしそう・・食べたい。うらやましい。
>はる さん
今日見たら、また石垣島の気温も14~16度におさまってた。
どうも訪れた期間だけ限定で常夏になっていたようです(笑)
しゃぶしゃぶも、格安のツアー料金に入ってたんだけど充分やわらかでおいしかった♪プラスアルファでお金を出せば、石垣牛肉の追加もあったらしいのですが、これだけあれば充分です♡
この富士山は本当に美しかった!!まるで絵のようですねえ。
思わずそのままダイブしちゃおうかと思いましたよ。
おひさ!相変わらずアクティブね(^○^)石垣島行ったんだね。高校の同級生、Y口C子ちゃんが石垣のホテルで働いてるのはご存知?あれ?そもそもC子ちゃん知ってたっけ(笑)。向こうで会ってたら面白かったのに、なんて思ってカキコミしてみた(^_^;)
>ごりちい さん
C子ちゃんが誰だかさっぱり見当がつかない(笑)
海は綺麗だし、一年中温暖だし、遊びに来た後に住み着く人がいるのもわかる気がする。。まあ台風大変だし都会に比べたら不便もあるだろうけどね。
石垣も高級から安めのまでいろいろあるから、どこで働いていたんだろう。。。
私の泊まったのは格安プランのデフォのところなので、「ホテルイーストチャイナシー」という、ロビーもないビジネスっぽいところでした。
ランクアップでフサキリゾートとかに宿泊してた方もいましたが、そっちはもっとリゾートっぽくてビーチが近くていい雰囲気だったな。。。